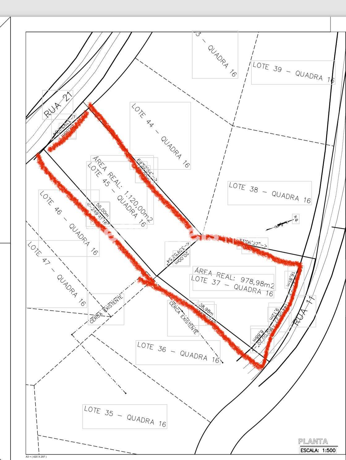
Terreno Retiro Das Esmeraldas (Melo Viana) 2.295m²
Rua Vinte E Um, Retiro Das Esmeraldas (Melo Viana) - Esmeraldas/Mg
Venda
R$ 145.000,00
CÓDIGO: 1030384
Favorito
1030384Código
2.295 m2Totais
O Imóvel
Excelente lote/terreno em Esmeraldas, no Retiro das Esmeraldas.
Terreno composto por 2.295m², com excelente topografia.
São dois lotes com matrículas individualizadas. Proprietário só se interessa por venda conjunta dos dois lotes, sendo um de 1.175m² e outro de 1.120m².
Não serão vendidos separadamente.
Os valores de venda / aluguel e dos encargos (IPTU/condomínio etc.) exibidos poderão sofrer mudanças e aumentos sem prévio aviso.
Por esse motivo os valores deverão ser confirmados no nosso setor comercial e os encargos no prédio/condomínio e IPTU na Prefeitura.
